2005年城市規劃實務真題7
更新時間:2013-03-15 12:58:13
來源:|0
瀏覽
收藏
城鄉規劃師報名、考試、查分時間 免費短信提醒
摘要 城市規劃師實務
點擊進入:2005年城市規劃實務真題匯總
試題四:(15′)
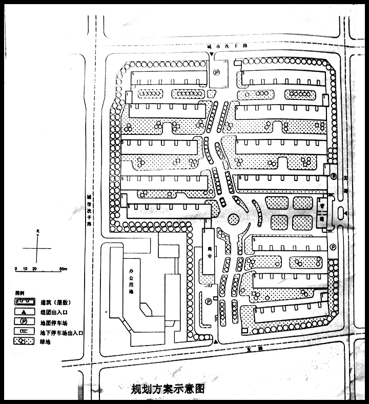
圖為某市一個居住區組團規劃方案,規劃用地9平方米,規劃住宅戶數800戶,人口約3000人.該地塊西,北臨城市次干路,東南兩側為支路,在地塊外西南角為現狀行政辦公用地,根據當地規劃條件要求,住宅建筑均為5層,層高2.8米,日照系數不少于1.4.該規劃方案布置了12幢住宅樓及物流管理和商業建筑;結合組團出入口安排地面和地下停車場,并有市政工程和環衛設施配套.
評析該方案,具體指出方案的主要優點和存在的問題.

編輯推薦:2013年城市規劃師VIP套餐 搶先熱招
編輯推薦
上一篇:2005年城市規劃實務真題6
下一篇:2005年城市規劃實務真題8
最新資訊
- 2025注冊城鄉規劃師真題下載:全新真題與備考資料,助你輕松備戰考試2025-09-29
- 2025注冊城鄉規劃師原理真題完整版更新:全新真題解析2025-09-29
- 2025注冊城鄉規劃師考試真題解析與備考建議2025-09-28
- 城鄉規劃師歷年真題解析:2025年四科完整版已發布,下載對照快速估分2025-09-28
- 2025注冊城鄉規劃師歷年真題:《法規》答案解析已更新2025-09-26
- 2025注冊城鄉規劃師真題,《法規》答案解析更新版:備考必讀指南2025-09-26
- 2025城鄉規劃師實務真題公布,(7大題答案已更新),快來對答案2025-09-24
- 2025城鄉規劃師實務真題及答案公布:7大題已更新,考后快來估分2025-09-24
- 對答案!2025注冊城鄉規劃師真題試卷發布,《實務》答案解析(7題全)2025-09-24
- 2025注冊城鄉規劃師實務真題公布,答案解析+考后估分2025-09-24